賃貸検索

  • 地図から探す
  • 一人暮らし
  • ファミリー
  • ペットOK
  • ピンポイント検索

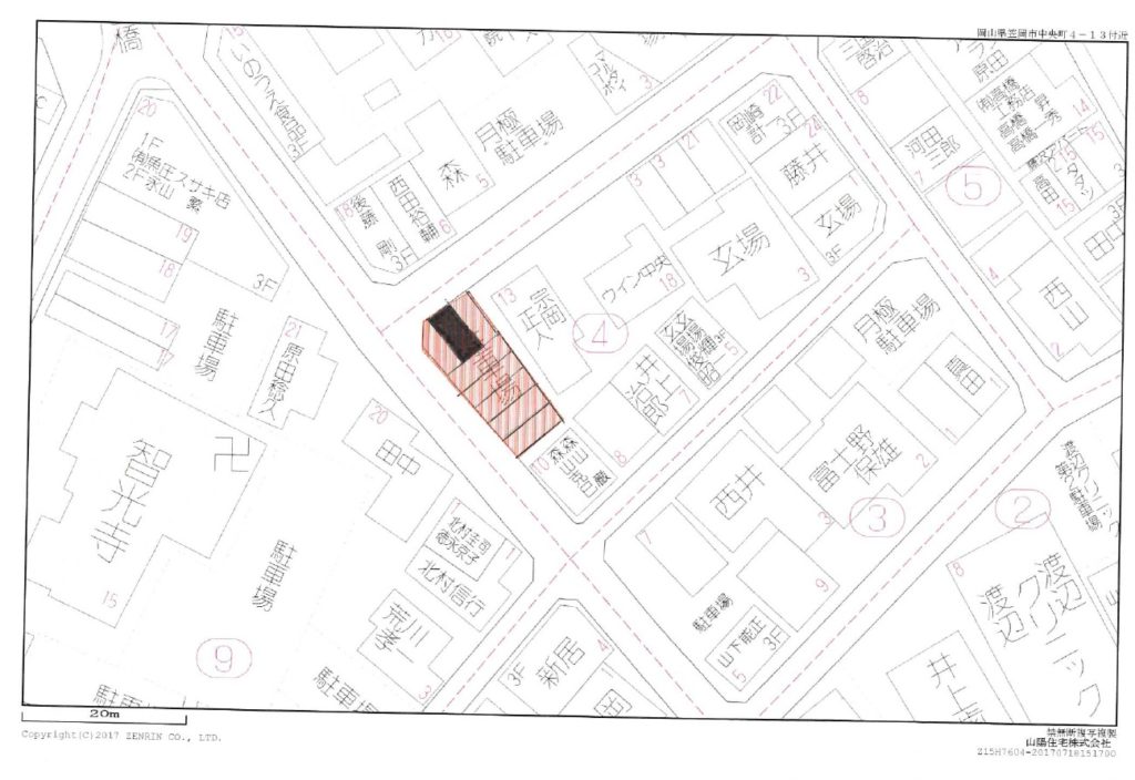
中央町田中月極駐車場【9787】
new

賃料
7,000円
駐車場

所在地
岡山県笠岡市中央町4-12  田中駐車場
築年月 面積
新築/中古
バルコニー 向き
建物階数 部屋階数
部屋/区画番号 総戸/区画数 8
建物構造
間取内容
駐車場 取引態様
引渡/入居時期 即時 現況
周辺環境
設備・条件
物件番号 9787 掲載期限日 26/1/10

市役所近くの駐車場です。

Loading...
※物件掲載内容と現況に相違がある場合は現況を優先と致します。

メールフォームでのお問い合わせ

メールでのお問い合わせはお返事に時間がかかることがございます。
携帯電話からのお問い合わせは、パソコンフィルタを切るか、sanyo-j.co.jpのドメイン解除をお願いします。
万一、2営業日経っても返信がない場合、メールが届いてない可能性がありますので、その際は、
恐れ入りますがお電話にてご確認ください。

*」は必須項目になります。

物件名
ご希望内容(必)
お名前(必)
メール(必)
電話番号(必)
返信希望時間帯
午前午後17時以降その他(内容に記入)
内容

お電話でのご返信希望の方は電話番号と時間帯をご記入ください。

  • 賃貸で気になるアレコレ
  • 店舗で案内を受ける